Tropical Cyclone Update: Philippines Weather Today

S.Acebounce 115 views
Tropical Cyclone Update: Philippines Weather Today

Tropical Cyclone Update: Philippines Weather Today

Hey guys, ever wondered about what’s going on with the weather in the Philippines, especially when we talk about tropical cyclones? Let’s dive into the nitty-gritty of understanding these powerful weather systems and how they impact the country.

Understanding Tropical Cyclones

Tropical cyclones, known as bagyo in the Philippines, are essentially rotating, organized systems of clouds and thunderstorms that originate over tropical or subtropical waters. These storms are characterized by low atmospheric pressure, strong winds, and heavy rainfall. To really get what these storms are about, it’s crucial to understand their structure, formation, and classification.

Formation and Development

So, how do these cyclones form? It all starts with warm ocean waters. The warm water heats the air above it, causing the air to rise. As this warm, moist air rises, it cools and condenses, forming clouds. This condensation releases latent heat, which further warms the air, causing it to rise even more. This cycle continues, creating a system of rising air. When this system starts to rotate due to the Earth’s rotation (the Coriolis effect), a tropical cyclone is born.

The development of a tropical cyclone is a fascinating process. Initially, it starts as a tropical disturbance, which is just a cluster of thunderstorms. If conditions are favorable, such as low wind shear and warm sea surface temperatures, the disturbance can strengthen into a tropical depression. A tropical depression is characterized by a closed circulation and maximum sustained winds of 39 mph (62 km/h) or less. If the depression continues to intensify and the winds reach 39-73 mph (63-117 km/h), it becomes a tropical storm, and that’s when it gets a name. Once the winds reach 74 mph (119 km/h) or higher, it’s classified as a typhoon (in the Northwest Pacific), hurricane (in the North Atlantic and Northeast Pacific), or cyclone (in the South Pacific and Indian Ocean).

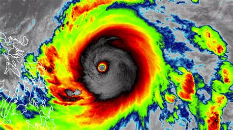
Structure of a Tropical Cyclone

The structure of a tropical cyclone is quite complex. At the center is the eye , a relatively calm and clear area with light winds and low atmospheric pressure. The eye is surrounded by the eyewall , a ring of intense thunderstorms that produce the strongest winds and heaviest rainfall. Moving outward from the eyewall are rainbands, which are spiraling bands of thunderstorms that can extend hundreds of miles from the center of the storm. These rainbands also contribute to the heavy rainfall and strong winds associated with tropical cyclones.

Classification of Tropical Cyclones

Tropical cyclones are classified based on their maximum sustained winds. Different regions use different scales, but the most commonly used is the Saffir-Simpson Hurricane Wind Scale. In the Northwest Pacific, where the Philippines is located, the classification is generally as follows:

  • Tropical Depression: Maximum sustained winds of 39 mph (62 km/h) or less.
  • Tropical Storm: Maximum sustained winds of 39-73 mph (63-117 km/h).
  • Severe Tropical Storm: Maximum sustained winds of 56-73 mph (90-117 km/h).
  • Typhoon: Maximum sustained winds of 74-117 mph (119-188 km/h).
  • Severe Typhoon: Maximum sustained winds of 118-149 mph (189-240 km/h).
  • Super Typhoon: Maximum sustained winds of 150 mph (241 km/h) or higher.

Understanding these classifications helps in assessing the potential impact of a tropical cyclone and preparing accordingly.

Current Tropical Cyclone Affecting the Philippines

Alright, let’s talk about the tropical cyclone situation in the Philippines today . It’s super important to stay updated because these weather disturbances can bring a whole lot of rain and strong winds, which can lead to flooding, landslides, and all sorts of disruptions. So, what’s the latest scoop?

Real-Time Updates and Forecasts

To get the most accurate and up-to-date info, the best place to check is the official website of PAGASA (Philippine Atmospheric, Geophysical and Astronomical Services Administration). PAGASA is the national meteorological agency of the Philippines, and they’re the go-to source for all things weather-related. They issue regular weather bulletins, advisories, and warnings about tropical cyclones affecting the country.

These updates typically include:

  • Location of the Cyclone: Where the center of the cyclone is currently located.
  • Strength: The maximum sustained winds and gustiness.
  • Movement: The direction and speed at which the cyclone is moving.
  • Forecast Track: The predicted path of the cyclone over the next few days.
  • Rainfall Forecast: The expected amount of rainfall in different areas.
  • Wind Signals: The areas where tropical cyclone wind signals are in effect.

Impact on Different Regions

The impact of a tropical cyclone can vary depending on its strength, location, and the vulnerability of the affected areas. Coastal regions are particularly vulnerable to storm surges, which are abnormal rises in sea level caused by the cyclone’s winds pushing water towards the shore. These surges can inundate low-lying areas and cause significant damage.

Inland areas are more prone to flooding from heavy rainfall. The intense rainfall can overwhelm drainage systems, causing rivers to overflow and inundate communities. Landslides are also a significant risk, especially in mountainous areas where the soil is already saturated from previous rains. The central and northern Luzon are usually the most affected areas due to their geographic location.

Even areas that are not directly hit by the cyclone can still experience its effects. Rainbands can extend hundreds of miles from the center of the storm, bringing heavy rainfall and strong winds to distant locations. It’s important to be aware of these potential impacts and take necessary precautions.

Preparations and Safety Measures

When a tropical cyclone is approaching, it’s crucial to take preparations and safety measures seriously. Here are some tips to help you stay safe:

  1. Stay Informed: Keep track of the latest weather updates and advisories from PAGASA and other reliable sources.
  2. Prepare an Emergency Kit: Gather essential supplies such as food, water, medicine, flashlights, batteries, and a first-aid kit.
  3. Secure Your Home: Reinforce your house by securing windows and doors, clearing drainage systems, and trimming trees that could fall.
  4. Evacuate if Necessary: If you live in a low-lying or flood-prone area, be prepared to evacuate to a safer location when advised by local authorities.
  5. Stay Indoors: During the height of the storm, stay indoors and away from windows and doors.
  6. Be Aware of Flood Risks: If you live near a river or stream, be aware of the risk of flooding and be prepared to move to higher ground if necessary.
  7. Unplug Appliances: Disconnect electrical appliances to avoid damage from power surges.
  8. Conserve Water: Store water in containers for drinking and sanitation purposes.
  9. Help Your Neighbors: Check on your neighbors, especially the elderly and those with disabilities, to make sure they are safe.

Long-Term Impacts of Tropical Cyclones

Beyond the immediate dangers, tropical cyclones can have long-term impacts on communities and the environment. These impacts can range from economic losses to environmental degradation.

Economic Losses

Tropical cyclones can cause widespread damage to infrastructure, agriculture, and businesses, leading to significant economic losses. Homes, roads, bridges, and other structures can be destroyed or damaged, disrupting transportation and communication networks. Crops can be wiped out by strong winds and flooding, leading to food shortages and price increases.

Businesses can also suffer significant losses due to closures, damage to property, and disruptions in supply chains. The tourism industry, which is a major contributor to the Philippine economy, can be particularly affected by tropical cyclones, as tourists may cancel their travel plans due to safety concerns.

The cost of recovery and reconstruction can be substantial, requiring significant investments from both the government and the private sector. It can take years for communities to fully recover from the economic impacts of a major tropical cyclone.

Environmental Impacts

Tropical cyclones can also have significant environmental impacts. Strong winds can defoliate forests and damage trees, while heavy rainfall can cause soil erosion and landslides. Storm surges can inundate coastal ecosystems, such as mangroves and coral reefs, leading to habitat destruction.

The increased runoff from heavy rainfall can also pollute waterways, affecting water quality and harming aquatic life. The debris and waste generated by the storm can also contaminate the environment, posing health risks to communities.

Climate change is also exacerbating the impacts of tropical cyclones. As the Earth’s temperature rises, the oceans are warming, providing more energy for tropical cyclones to intensify. This means that we can expect to see more frequent and intense tropical cyclones in the future.

Building Resilience

Given the increasing threat of tropical cyclones, it’s crucial to build resilience at all levels of society. This includes:

  • Improving Infrastructure: Investing in infrastructure that can withstand strong winds and heavy rainfall, such as stronger buildings, elevated roads, and improved drainage systems.
  • Strengthening Disaster Preparedness: Developing and implementing comprehensive disaster preparedness plans at the national and local levels.
  • Promoting Climate Change Adaptation: Implementing measures to adapt to the impacts of climate change, such as building seawalls, restoring mangroves, and promoting sustainable agriculture.
  • Raising Public Awareness: Educating the public about the risks of tropical cyclones and how to prepare for them.
  • Investing in Early Warning Systems: Improving early warning systems to provide timely and accurate information about approaching tropical cyclones.

By taking these steps, we can reduce the vulnerability of communities to tropical cyclones and build a more resilient future.

Staying Safe and Informed

Okay, folks, keeping safe during a tropical cyclone is all about staying informed and being prepared. The more you know, the better you can protect yourself and your loved ones. So, here’s the lowdown on how to stay safe and keep up with the latest news:

Monitoring Official Sources

The most reliable information comes straight from the official sources. PAGASA is your go-to for all things weather-related in the Philippines. They’ve got a website and social media pages where they post regular updates, advisories, and warnings.

Understanding Weather Alerts

When PAGASA issues weather alerts, it’s super important to understand what they mean. They use a system of Tropical Cyclone Wind Signals (TCWS) to indicate the expected wind strength in different areas.

Preparing Your Home

Getting your home ready for a tropical cyclone can make a big difference. Here are some quick tips:

  • Secure loose objects: Bring in anything that could be blown away by strong winds, like flower pots, outdoor furniture, and decorations.
  • Reinforce windows and doors: Board up windows or cover them with plywood. Make sure doors are securely locked.
  • Clear drainage: Clear gutters and drains to prevent flooding around your house.

Creating an Emergency Kit

Having an emergency kit is like having a safety net. It should include essentials like:

  • Food and water: Non-perishable food items and bottled water.
  • First-aid supplies: Bandages, antiseptic wipes, pain relievers, and any necessary medications.
  • Flashlight and batteries: To see in the dark if the power goes out.
  • Radio: A battery-powered radio to stay updated on the latest news.
  • Important documents: Copies of your identification, insurance policies, and other important papers.

Evacuation Procedures

If you live in a low-lying or flood-prone area, be prepared to evacuate if told to do so by local authorities. Know your evacuation route and where the nearest evacuation center is located.

After the Cyclone

Even after the cyclone has passed, it’s important to stay vigilant. There may be hazards like fallen power lines, debris, and floodwaters.

Helping Your Community

After the cyclone, think about how you can help your community. Volunteer your time, donate to relief efforts, or simply check on your neighbors to make sure they’re okay.

Stay safe, and keep an eye on the weather updates! We’re all in this together, so let’s look out for each other and get through this, alright?